Property
Beds
None
Full Baths
None
1/2 Baths
None
Year Built
None
Lot size
0.61 acres
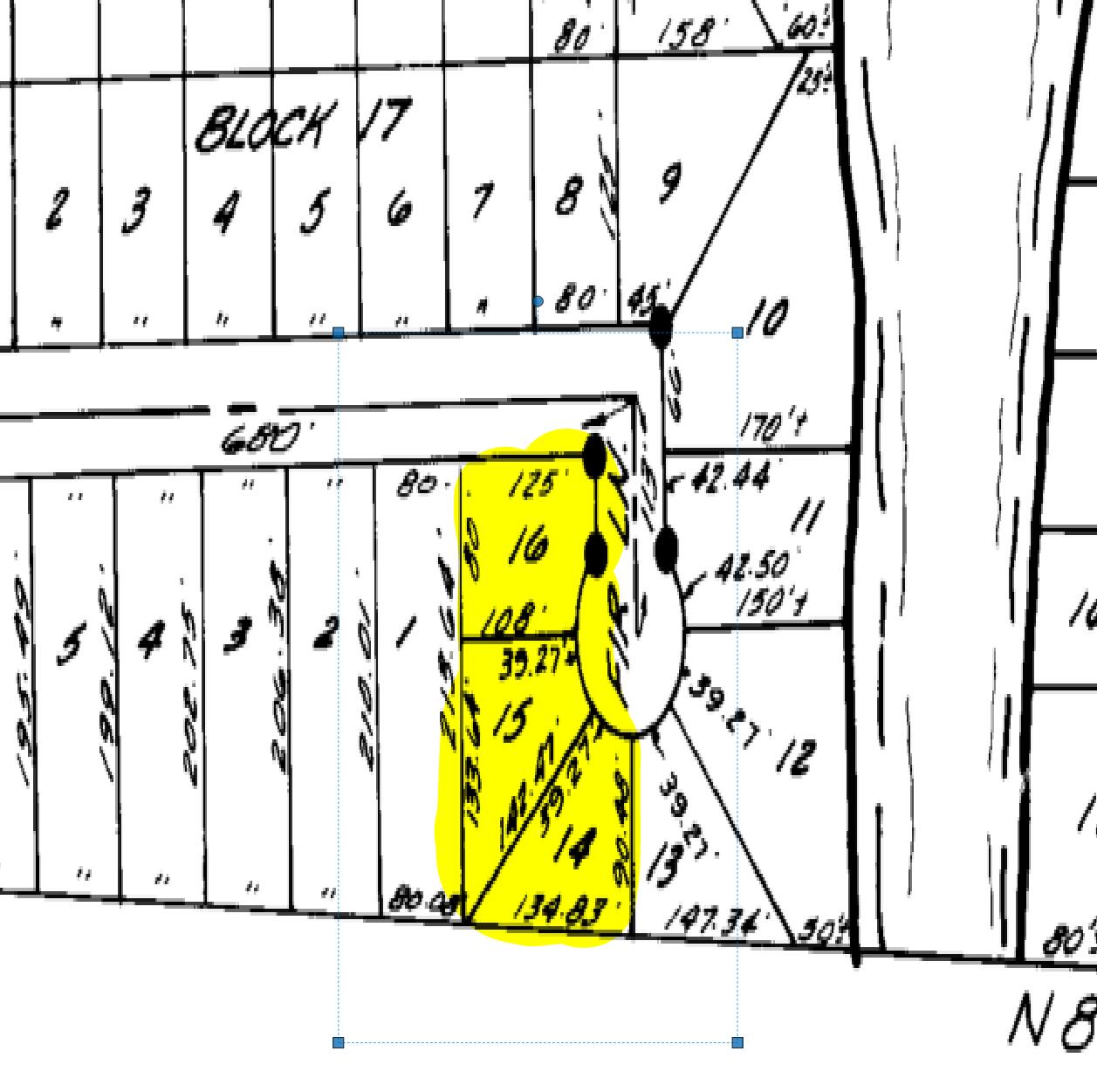
Invest in DeFuniak Springs!This 0.614-acre property consists of three combined lots (14, 15 & 16, Block 17, Oakwood Hills Unit III) and offers a rare opportunity to build in a peaceful, well-connected area just minutes from historic downtown DeFuniak Springs. The wooded setting provides privacy, water views nearby, and easy access to US-331 and I-10 for convenience to shopping, dining, and local amenities.Enjoy the flexibility of no HOA and minimal restrictions, with the option to build or place a mobile home. The property is located on a paved road almost all the way to the site, and essential utilities are nearby: city water available (tap fee due), power at the road, and septic required. According to Walton GIS mapping, the property lies in Flood Zone X and does not appear to contain wetlands. Property Highlights: 0.614 acres (three adjoining lots) Paved road almost all the way to the property No HOA & minimal restrictions Mobile homes allowed City water available Power at the road; septic required Flood Zone X - outside special flood hazard area Walton GIS shows no wetlands Peaceful wooded setting, water view. Minutes to historic downtown DeFuniak Springs, US-331, and I-10 Bring your plans and make this versatile property your own today!
Features & Amenities
Interior
-
Total Bedrooms
N/A
-
Bathrooms
N/A
-
Pet friendly
N/A
Exterior
-
Garage
No
-
Pool
No
Area & Lot
-
Lot Features
Cul-De-Sac, Level, Wooded
-
Lot Size(acres)
0.61
-
Property Type
Land
Price
-
Sales Price
$44,900
-
Zoning
See Remarks
-
Sq. Footage
N/A
-
Price/SqFt
N/A
HOA
-
Association
No
School District
-
Elementary School
Maude Saunders
-
Middle School
Walton
-
High School
Walton
Property Features
-
Sewer
Septic Tank
-
Water Source
Public
Schedule a Showing
Showing scheduled successfully.
Mortgage calculator
Estimate your monthly mortgage payment, including the principal and interest, property taxes, and HOA. Adjust the values to generate a more accurate rate.
Your payment
Principal and Interest:
$
Property taxes:
$
HOA fees:
$
Total loan payment:
$
Total interest amount:
$
Location
County
Walton
Elementary School
Maude Saunders
Middle School
Walton
High School
Walton
Listing Courtesy of Beverly J Buck , Coldwell Banker Realty
RealHub Information is provided exclusively for consumers' personal, non-commercial use, and it may not be used for any purpose other than to identify prospective properties consumers may be interested in purchasing. All information deemed reliable but not guaranteed and should be independently verified. All properties are subject to prior sale, change or withdrawal. RealHub website owner shall not be responsible for any typographical errors, misinformation, misprints and shall be held totally harmless.

Principal Broker
EugenePontecorvo
Call Eugene today to schedule a private showing.

* Listings on this website come from the FMLS IDX Compilation and may be held by brokerage firms other than the owner of this website. The listing brokerage is identified in any listing details. Information is deemed reliable but is not guaranteed. If you believe any FMLS listing contains material that infringes your copyrighted work please click here to review our DMCA policy and learn how to submit a takedown request.© 2024 FMLS.
